华西秋雨仍在线!未来三天,四川维持多雨格局
| 2025-09-22 来源:中国气象台 成都气象 | 分享: |
早上好!今天是9月22日,星期一,未来三天四川多地有雨,局部暴雨上线,一起来关注最新天气情况。




成都天气预报
成都:未来三天多云天气为主,伴有分散阵雨
预计未来三天成都市阴天间多云天气为主,伴有分散阵雨。其中22日白天东部个别地方大雨到暴雨,温差小湿度大。提醒今日有降水路面湿滑,出行需注意安全,未来三天最高气温分别为24℃,27℃,29℃。
>>22日白天:阴天,有中到大雨,东部个别地方暴雨,气温17~24℃;中心城区,阴天,有中到大雨,气温18~24℃。
>>22日晚上到23日白天:小雨到中雨转多云,气温17~27℃;中心城区,小雨到中雨转多云,气温18~27℃。
>>23日晚上到24日白天:多云,气温16~30℃;中心城区,多云,气温17~29℃。
四川天气预报
四川:全省多地阴天有阵雨或雷雨,东北部局部有暴雨
22日白天:盆地各市阴天有阵雨或雷雨,雨量普遍中到大雨,巴中和宜宾2市局部有暴雨;川西高原和攀西地区阴天有阵雨或雷雨,雨量小到中雨,局部大雨,凉山州北部个别暴雨。

22日晚上到23日白天:盆地各市阴天有阵雨或雷雨,雨量中到大雨,东北部局部有暴雨;川西高原西部多云转晴,川西高原其余地方和攀西地区阴天间多云有阵雨或雷雨,雨量小到中雨,局部大雨,个别暴雨。

全国天气预报
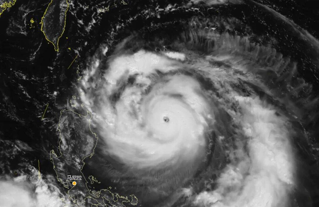
中央气象台最新消息,今年第18号台风“桦加沙”将于23日凌晨进入南海东北部,于24日凌晨至下午在广东汕尾至海南文昌一带沿海登陆,预计登陆时强度为强台风级或超强台风级(14~16级)。

受其影响,21日起,我国南海北部海域及巴士海峡等海域将有强烈大风,23日起,广东、广西等地有暴雨或大暴雨,局地特大暴雨。
23日至25日,华南、江南南部等地有大到暴雨,台湾岛东部、广东东部和南部、广西南部、福建东南部等部分地区有大暴雨,局地有特大暴雨(250~280毫米)。上述地区累计降水量80~150毫米,部分地区180~250毫米,广东沿海局地可达350毫米以上;最大小时降雨量40~80毫米,局地超100毫米。

另外,受台风远距离水汽输送影响,23日至25日,江苏、安徽东部等地也将有大到暴雨,局地大暴雨。
小编提醒
“暴雨”模式登场,注意加强防范。雨天路滑,请注意出行安全。尽量不要靠围墙、建筑物行走,防止建筑倒塌、高空坠物等危险。




